
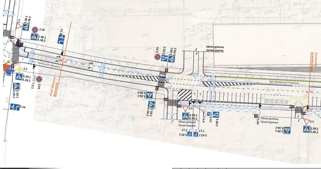
В Івано-Франківську планують зробити вулицю Січових Стрільців односторонньою на всій протяжності від вулиці Незалежності до вулиці Мазепи.
Такий висновок отримали після моделювання руху спільно з фахівцями ТОВ «Урбан прогрес».
Про це повідомив заступник міського голови, директор департаменту інфраструктури, житлової та комунальної політики Івано-Франківської міської ради Михайло Смушак, пише Фіртка.
Наразі вулиця частково двостороння: від Незалежності до Євгена Коновальця дозволений двосторонній рух, а на іншій ділянці — односторонній. На окремих ділянках передбачено виділені смуги для автобусів громадського транспорту, що іноді створює затори.
Запропоноване рішення передбачає:
-
односторонній рух для всіх транспортних засобів;
-
облаштування виділеної смуги для громадського транспорту та велосипедистів по всій протяжності;
-
забезпечення безперешкодного руху автобусів і зменшення заторів для автомобілістів.
Автобуси, які зараз повертають праворуч з вул. Коновальця на Січових Стрільців (маршрути 41, 21, 30, 45, 48 та сільські 47, 56, 57, 58, 59), пропонують перенаправити через вул. Сахарова → Мельника → Незалежності, далі за існуючим маршрутом.
Для зручності пасажирів на вулиці Мельника облаштують дві нові зупинки — біля Пенсійного фонду та «Квіткового ринку».
У міській раді зазначають, що такі зміни дозволять прискорити рух громадського транспорту, підвищити безпеку на вулиці та полегшити пересування автомобілістам.
Впровадження нової схеми планується паралельно з перенесенням світлофорів на цій вулиці.
Наразі схема організації руху є концептуальною і ще доопрацьовується. Міська рада запрошує іванофранківців поділитися своїми думками щодо цих змін.
Підписуйтесь на канал Фіртки в Telegram, читайте нас у Facebook, дивіться на YouTubе. Цікаві та актуальні новини з першоджерел!
Читайте також: